home
潜伏在夜间的杀手养生课堂

迁延性肺嗜酸粒细胞浸润症主要是由什么原因引起的

2013/4/27 [ ]

病因大致与单纯性肺嗜酸粒细胞浸润症相似,有人认为它是吕弗琉综合征的一种类型。寄生虫中以钩虫和蛔虫所致者最多见。药物中以呋喃妥因多见。其他病因还有球孢子菌病、布鲁杆菌病等。不少病人有过敏体质,但其真正诱因不明。 

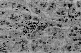
间质和肺泡中有密集的嗜酸粒细胞和巨噬细胞浸润,同时伴有少量淋巴细胞和浆细胞,另外,可见Ⅱ型上皮细胞增生,肺泡内蛋白渗出,纤维母细胞增生以及间隔胶原沉着。嗜酸粒细胞也可产生致热原,导致此类病人常有发热症状。

责任编辑:editor4
  • 养生

养生节目

进入>>

机构免费加入

热点问题

更多>>

居家养老:起步13年仍在摸索中

所谓居家养老,是立足家庭,依托社区,借助养老服务组织专业化服务,通过上门或日托照料形式,为老年人提供以助餐、助洁、助急、助浴、助行、助医等“六助”为主要内容的社区居家养老服务。 [详情]
居家养老:起步13年仍在摸索中

明星机构访谈

更多>>

明星养老机构访谈申请条件

明星机构访谈是针对热衷养老产业,对养老行业及其发展具备敏锐的洞察力和深入了解且具有一定影响力的养老领域资深人士进行采访交谈的专业平台。 [详情]
明星养老机构访谈申请条件

关于中华养老网

养老产业招商

城市产业招商

联系我们 |刊登广告 |平台介绍 |关于我们 |豁免条款 |招聘信息 |隐私保护 |版权申明